Tiputa pass !
La plongée à Rangiroa se concentre dans les passes de Tiputa et d’Avatoru. Nous n’avons fait qu’une plongée à Avatoru, sur le récif, en sortant à droite. Le plateau corallien, entre 15 et 20 mètres, est plutôt joli, avec un joli corail de couleur mauve. Nous y avons vu des carangues échevelées.
C’est bien la Passe de Tiputa qui est l’objet de tous nos désirs de plongeurs : on espère y voir des requins, marteau ou tigre, des raies Manta et les stars du lieu, une famille de grands dauphins – Tursiops truncatus.

Crédit Top Dive
Le club Top Dive se trouve côté lagon, juste à côté de l’hôtel Kia Ora. Les locaux sont pratiques et conviviaux avec vestiaires, cabines pour se changer, douches, bacs de rinçage, thé ou café, petits biscuits… Le snack Mitivai, juste à côté, est parfait pour les journées de plongée. Les plongeurs comme les moniteurs y mangent, nous y avons partagé de savoureux sandwichs à la viande en refaisant les plongées et en imaginant les prochaines !
![]()
La plongée dans les passes est conditionnée par la marée, on plonge par courant rentrant ou à l’étal quand un contre-courant se forme en bordure de la passe. Si le courant est sortant, il reste le récif – la mise à l’eau se fait depuis le point rouge le plus à droite – et l’angle, avec une mise à l’eau au second point rouge.
![]()
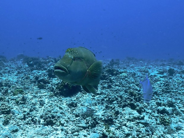
Nous avons plongé 3 jours d’affilée à Tiputa : le premier jour sur le récif où nous avons apprécié la belle visibilité, les bancs de bécunes et les gros barracudas, la proximité avec les poissons Napoléon qui chassent comme celui-ci, accompagné d’une carangue bleue.
![]()
Le second jour, nous avons pu pousser plus loin notre plongée et entrer dans la passe en profitant du contre-courant. En ce moment, les becs de cane se regroupent du côté lagon pour se reproduire, ce qui attire les prédateurs.
![]()
Le dernier jour, le courant rentrant nous a permis de plonger dans les canyons de Tiputa, avec une mise à l’eau au troisième point rouge. La plongée se fait en dérive, mais l’idée est de se glisser dans les failles pour éviter d’avancer trop vite. On y croise de nombreux poissons qui s’abritent également du fort courant.
Des requins patrouillent au dessus des canyons : des gris de récif et des requins à pointe blanche. En fin de plongée, nous avons eu la chance de croiser un grand requin-marteau Mokarran d’environ 3 mètres qui rentrait dans le lagon pour se nourrir, des becs de cane peut-être.
Un jour mémorable car la plongée suivante nous a offert la rencontre avec les grands dauphins. Après une vingtaine de minutes dans le bleu, animée par le passage d’une raie aigle, nous rejoignons les 2 autres palanquées. Nous entendons les dauphins avant de les voir. C’est le moment choisi par 3 dauphins pour s’approcher.
Sur les photos, un jeune dauphin reconnait Manu, un des moniteurs et vient se faire câliner. Aucun des plongeurs présents n’a eu ce privilège à l’exception d’Hiti, lui aussi un local de Tiputa. Manu a expliqué ensuite qu’il connaissait bien la maman de ce dauphin ! Une histoire de famille en fait.
Pour notre dernière plongée de la journée, Hiti nous conduit sur le récif, toujours aussi poissonneux. Nous arrivons à l’angle de la passe, brassés par l’ample mouvement de la houle et croisons des requins à pointe noire. Hiti nous conduit tout près des vagues des se brisent sur le récif – grosse sensation ! – puis nous nous faufilons dans les canyons. Vous les distinguez à gauche sur la photos aérienne.
![]()
Il faut « sauter » d’un canyon à l’autre, sans se faire aspirer par le courant jusqu’à rejoindre la passe. Le courant nous emmène alors jusqu’au bateau qui nous attendait sagement. Une plongée Rock’n roll !
![]()
La passe de Tiputa a été à la hauteur de sa réputation mais nous avons pris conscience de la nécessité d’y passer plus de temps pour pouvoir plonger au bon moment.
We will return !
Pingback: Chez Joséphine à Rangiroa | Val's Blog